Kjell Nilsson
Portfolio
Info
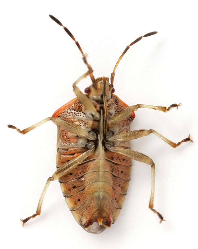
Bärfisar